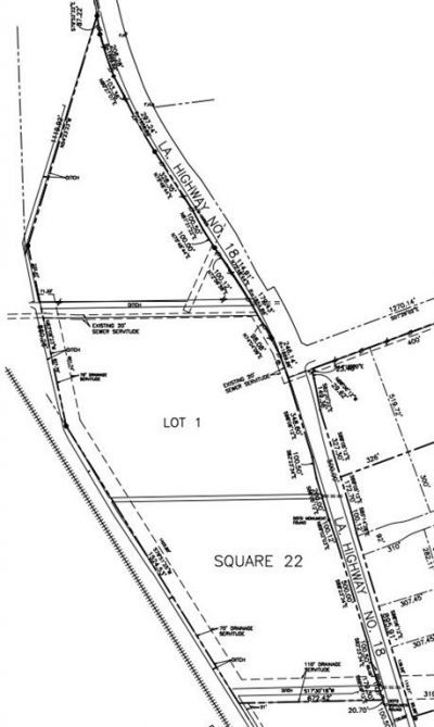
Industrial Land for Lease (Land Lease Only) Size: 55.79 Acres (2,430,168.84 SF) Minimum Divisible: 1 Acre Lease Rate: $0.55 ? $0.65 per SF per Year Zoning: M-2 Heavy Industrial Lot 1, Square 22 at Fairfield Business Park offers 55.79 acres of M-2 Heavy Industrial land available for lease, with flexible parcel sizes starting at 1 acre. This offering is a land lease only, making it ideal for tenants seeking a long-term site to develop and operate their own facilities. The property features direct frontage on LA-18 (River Road) and is located near the intersection of LA-18 and LA-541, positioning it in a highly accessible industrial corridor. The site is well suited for industrial, logistics, fabrication, or support operations serving the regional maritime and energy industries. Strategically located within the Avondale industrial corridor, the property is positioned near Avondale Global Gateway, providing immediate proximity to one of the Gulf Coast's emerging maritime and logistics hubs. The property benefits from excellent transportation access, with frontage along LA-18, and close proximity to US Highway 90, Interstate 10, the Huey P. Long Bridge, and the Mississippi River industrial corridor. This location provides strong regional connectivity for industrial users requiring access to major transportation routes, port facilities, and the greater New Orleans industrial market. Lot 1, Square 22 consists of 55.79 acres (2,430,168.84 square feet) and can be subdivided with a minimum parcel size of 1 acre, providing flexibility for a variety of industrial users. The M-2 Heavy Industrial zoning allows for a wide range of industrial uses including logistics, fabrication, storage, and yard operations.
Listed By
Agency Name: Ted Chiasson Real Estate
Agency Phone: (504) 450-3291
Shown By
Agency Title: Wurth Real Estate Services
Agency Phone: (866) 961-4414
Send an email with a link to
1300 La18 Highway , Avondale, LA 70094.
Contact an agent to learn more about
1300 La18 Highway , Avondale, LA 70094.
Thank you for your inquiry! As a thank you, we have a Special Mortgage Offer for You.
We would like to provide you a free, no-obligation, home loan pre-approval review.
Enter your mobile number below to have the property address and page url texted to your phone.
Select a category below to assign the saved listing to.
Please note, closing this modal will save the listing to the default category.

The multiple listing information is provided by the Greater Baton Rouge Association of REALTORS®, Inc. multiple listing service from a copyrighted compilation of listings. The compilation of listings and each individual listing are ©2025 MLS. All Rights Reserved. The information provided is for clients' personal, non-commercial use and may not be used for any purpose other than to identify prospective properties clients may be interested in purchasing. All properties are subject to prior sale or withdrawal. Show More...
Copyright © 2025 New Orleans Metropolitan Association of REALTORS®, Inc. All Rights Reserved. The sharing of MLS database, or any portion thereof, with any unauthorized third party is strictly prohibited. Information contained on this site is believed to be reliable; yet, users of this web site are responsible for checking the accuracy, completeness, currency, or suitability of all information. Neither the New Orleans Metropolitan Association of REALTORS®, Inc. nor the Gulf South Real Estate Information Network, Inc. makes any representation, guarantees, or warranties as to the accuracy, completeness, currency, or suitability of the information provided. They specifically disclaim any and all liability for all claims or damages that may result from providing information to be used on the web site, or the information which it contains, including any websites maintained by third parties, which may be linked to this web site. The information being provided is for the consumers personal, non-commercial use, and may not be used for any purpose other than to identify prospective properties which consumers may be interested in purchasing. The user of this site is granted permission to copy a reasonable and limited number of copies to be used in satisfying the purposes identified in the preceding sentence. Last Updated: September 25, 2025 2:27 PM UTC Show More...
1300 La18 Highway | MLS# 2546928
This commercial property located at 1300 La18 Highway , Avondale, LA 70094 is currently listed for rent with an asking price of $131,634 / Monthly. Search Avondale real estate on www.wurthre.com today.