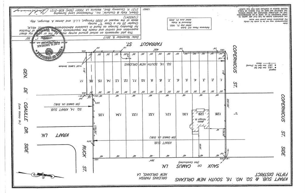
Large parcel plotted for sixteen 25 x 118 front lots on Farragut St. along with eight oversized 48 x 179.50 lots facing Saux Lane. Grand Mansion from 1934 prominently sits on two of the 48 x 179.5 lots boasting many historic attributes. Historic tax credit may be available for renovation or tear down to utilize the oversized parcel for a new development. The property contains a majestic Oak Alley along with grand Cypress trees while being a direct and quick access to the Crescent City Connection. The unpaved street Saux Lane's application has been submitted and waiting for new applicant to finalize with the city. Agent/Owner.
Listed By
Agency Name: Christian Shane Properties
Agency Phone: (504) 208-5688
Shown By
Agency Title: Wurth Real Estate Services
Agency Phone: (866) 961-4414
Estimated Payment
$ 1,258.62 per month $1,112.78 Principal & Interest $0.00 Property Tax (data not provided by mls) $145.83 Homeowner's InsuranceSend an email with a link to
2020-30 Farragut Street, New Orleans, LA 70114.
Contact an agent to learn more about
2020-30 Farragut Street, New Orleans, LA 70114.
Thank you for your inquiry! As a thank you, we have a Special Mortgage Offer for You.
We would like to provide you a free, no-obligation, home loan pre-approval review.
Enter your mobile number below to have the property address and page url texted to your phone.
Select a category below to assign the saved listing to.
Please note, closing this modal will save the listing to the default category.

The multiple listing information is provided by the Greater Baton Rouge Association of REALTORS®, Inc. multiple listing service from a copyrighted compilation of listings. The compilation of listings and each individual listing are ©2025 MLS. All Rights Reserved. The information provided is for clients' personal, non-commercial use and may not be used for any purpose other than to identify prospective properties clients may be interested in purchasing. All properties are subject to prior sale or withdrawal. Show More...
Copyright © 2025 New Orleans Metropolitan Association of REALTORS®, Inc. All Rights Reserved. The sharing of MLS database, or any portion thereof, with any unauthorized third party is strictly prohibited. Information contained on this site is believed to be reliable; yet, users of this web site are responsible for checking the accuracy, completeness, currency, or suitability of all information. Neither the New Orleans Metropolitan Association of REALTORS®, Inc. nor the Gulf South Real Estate Information Network, Inc. makes any representation, guarantees, or warranties as to the accuracy, completeness, currency, or suitability of the information provided. They specifically disclaim any and all liability for all claims or damages that may result from providing information to be used on the web site, or the information which it contains, including any websites maintained by third parties, which may be linked to this web site. The information being provided is for the consumers personal, non-commercial use, and may not be used for any purpose other than to identify prospective properties which consumers may be interested in purchasing. The user of this site is granted permission to copy a reasonable and limited number of copies to be used in satisfying the purposes identified in the preceding sentence. Last Updated: September 25, 2025 2:27 PM UTC Show More...
2020-30 Farragut Street | MLS# 2536825
This single family home located at 2020-30 Farragut Street, New Orleans, LA 70114 is currently listed for sale with an asking price of $500,000. This property was built in 1936 and has 3 bedrooms and 2 full and 1 partial baths with 5844 sq. ft. Search New Orleans real estate on www.wurthre.com today.